Bão nhiệt đới là gì? Cơ chế hình thành trong khí quyển

Bão nhiệt đới là hiện tượng thời tiết mạnh mẽ, hình thành trên đại dương nhiệt đới với gió xoáy dữ dội, gây mưa lớn, lũ lụt và thiệt hại nghiêm trọng.


  • Cập nhật: 17-01-2026

Khi đại dương nóng lên, bão nhiệt đới hình thành, mang theo năng lượng khổng lồ từ biển cả. Hiện tượng này khiến giới khoa học không ngừng nghiên cứu để dự báo chính xác hơn.

Bão nhiệt đới là gì?

  • Bão nhiệt đới (Tropical Cyclone) là hiện tượng khí tượng phức tạp hình thành khi nhiệt độ bề mặt đại dương vượt quá 26,5°C, tạo điều kiện cho không khí nóng và ẩm bốc lên, gặp luồng gió lạnh ở tầng cao gây xoáy mạnh. 
  • Dưới tác động của áp suất thấp, các đám mây tích tụ thành hệ thống gió xoáy với vận tốc có thể đạt hơn 100 km/h. Bão nhiệt đới là kết quả của sự mất cân bằng năng lượng trong khí quyển – nơi hơi nước ngưng tụ, giải phóng nhiệt và tạo động lực cho cơn bão phát triển. 
  • Đây là một trong những hiện tượng có ảnh hưởng mạnh mẽ nhất đến thời tiết khu vực nhiệt đới và cận nhiệt đới.
    Bão nhiệt đới là xoáy thuận mạnh hình thành trên biển nóng
    Bão nhiệt đới là xoáy thuận mạnh hình thành trên biển nóng

>>> Tìm hiểu thêm: Bão (Typhoon) là gì? Hiện tượng thời tiết cực đoan đáng sợ

Hình ảnh về bão nhiệt đới và sức mạnh của tự nhiên

Từ không gian, bão nhiệt đới (Tropical Cyclone) hiện lên như một vòng xoáy khổng lồ giữa đại dương, trung tâm là “mắt bão” yên tĩnh bao quanh bởi mây cuộn trắng xóa, biểu tượng cho quyền lực của khí quyển.

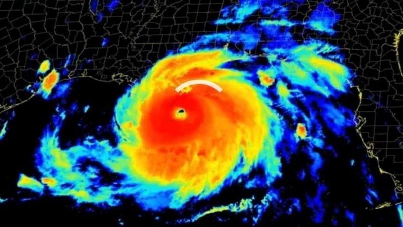
Tâm bão là vùng trung tâm của bão nhiệt đới
Tâm bão là vùng trung tâm của bão nhiệt đới
Tốc độ gió trong bão nhiệt đới có thể tăng đột ngột
Tốc độ gió trong bão nhiệt đới có thể tăng đột ngột
Áp suất khí quyển giảm sâu khi hình thành bão nhiệt đới
Áp suất khí quyển giảm sâu khi hình thành bão nhiệt đới
Xoáy thuận là cấu trúc chính tạo nên bão nhiệt đới
Xoáy thuận là cấu trúc chính tạo nên bão nhiệt đới
Mưa lớn xảy ra dữ dội trong quá trình bão nhiệt đới
Mưa lớn xảy ra dữ dội trong quá trình bão nhiệt đới

>>> Tìm hiểu thêm: Vòi rồng nước (Waterspout) là gì? Xoáy lốc giữa biển khơi

>>> Tìm hiểu thêm: Vòi rồng trên đất liền là gì? Hiện tượng nguy hiểm hiếm gặp

Bão nhiệt đới là lời nhắc nhở về sức mạnh không thể kiểm soát của tự nhiên. Hiểu rõ hiện tượng này giúp con người chủ động hơn trong dự báo và giảm thiểu thiệt hại.


Thanh Huyền

Thanh Huyền là chuyên gia về thời tiết, thường xuyên chia sẻ kiến thức, phân tích dự báo và giải đáp thắc mắc liên quan đến các hiện tượng khí tượng. Với cách truyền đạt dễ hiểu, cô giúp cộng đồng cập nhật thông tin thời tiết chính xác và hữu ích.


Để Lại Bình Luận Của Bạn

Địa chỉ email của bạn sẽ không được công bố. Các trường bắt buộc được đánh dấu *
×
Ảnh toàn màn hình