Hoàn lưu bão là gì? Bí ẩn chuyển động trong tâm bão

Hoàn lưu bão là vùng gió xoáy quanh tâm bão, có tốc độ mạnh, gây biến đổi khí áp và lượng mưa lớn, ảnh hưởng trực tiếp đến thời tiết và khí hậu khu vực.


  • Cập nhật: 23-01-2026

Mỗi khi bão hình thành, hoàn lưu bão chính là yếu tố quyết định sức mạnh và phạm vi ảnh hưởng. Đây là một hiện tượng phức tạp, đòi hỏi hiểu biết sâu sắc về cơ chế vận động khí quyển.

Hoàn lưu bão là gì?

  • Hoàn lưu bão là hệ thống gió xoáy mạnh quanh tâm bão, hình thành khi khối không khí nóng ẩm bốc lên và gặp vùng khí lạnh ở tầng cao. Sự chênh lệch áp suất tạo ra luồng gió xoay tròn, càng tiến gần tâm bão thì tốc độ gió càng lớn. 
  • Dưới tác động của lực Coriolis, hướng xoáy của hoàn lưu bão khác nhau giữa hai bán cầu: ngược chiều kim đồng hồ ở Bắc bán cầu và thuận chiều ở Nam bán cầu.
  • Hiểu rõ hoàn lưu bão giúp các cơ quan dự báo thời tiết đưa ra cảnh báo chính xác, giảm thiểu thiệt hại do thiên tai.
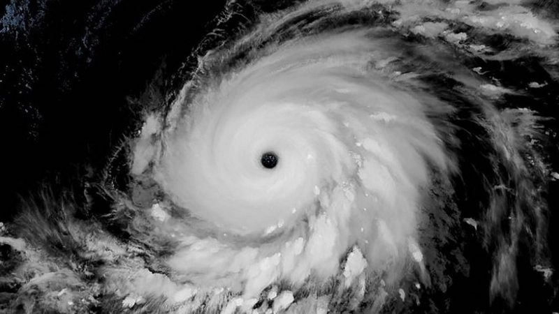
    Hoàn lưu bão là hệ thống gió xoáy mạnh bao quanh tâm bão
    Hoàn lưu bão là hệ thống gió xoáy mạnh bao quanh tâm bão

>>> Click để xem ngay: Mắt bão là gì? Vùng trung tâm tĩnh lặng của siêu bão

Hình ảnh về hoàn lưu bão và sức mạnh xoáy khí quyển

Những hình ảnh vệ tinh cho thấy hoàn lưu bão tạo thành vòng xoáy khổng lồ, chuyển động liên tục, minh chứng cho sức mạnh đáng kinh ngạc của tự nhiên trong điều tiết khí hậu.

Áp suất thấp tạo điều kiện hình thành hoàn lưu bão
Áp suất thấp tạo điều kiện hình thành hoàn lưu bão
Sức gió gia tăng dữ dội khi hoàn lưu bão mở rộng
Sức gió gia tăng dữ dội khi hoàn lưu bão mở rộng
Xoáy thuận hình thành rõ rệt trong vùng hoàn lưu bão
Xoáy thuận hình thành rõ rệt trong vùng hoàn lưu bão
Mây dày đặc bao phủ toàn bộ khu vực chịu hoàn lưu bão
Mây dày đặc bao phủ toàn bộ khu vực chịu hoàn lưu bão
Đường đi của hoàn lưu bão quyết định phạm vi ảnh hưởng
Đường đi của hoàn lưu bão quyết định phạm vi ảnh hưởng

>>> Click để xem ngay: Siêu bão là gì? Sức tàn phá khủng khiếp của khí quyển

>>> Click để xem ngay: Bão mạnh là gì? Cảnh báo về sức tàn phá khủng khiếp

Dưới góc nhìn khí tượng học, hoàn lưu bão là mắt xích then chốt trong dự báo bão. Hiểu rõ cơ chế vận hành của nó chính là bước tiến lớn trong việc bảo vệ an toàn cho cộng đồng.


Thanh Huyền

Thanh Huyền là chuyên gia về thời tiết, thường xuyên chia sẻ kiến thức, phân tích dự báo và giải đáp thắc mắc liên quan đến các hiện tượng khí tượng. Với cách truyền đạt dễ hiểu, cô giúp cộng đồng cập nhật thông tin thời tiết chính xác và hữu ích.


Để Lại Bình Luận Của Bạn

Địa chỉ email của bạn sẽ không được công bố. Các trường bắt buộc được đánh dấu *
×
Ảnh toàn màn hình