Mắt bão là gì? Vùng trung tâm tĩnh lặng của siêu bão

Mắt bão được ví như “trái tim” của cơn bão, mang vẻ bình yên chết chóc, là minh chứng cho sự tương phản cực độ trong hiện tượng khí tượng khắc nghiệt.


  • Cập nhật: 22-01-2026

Mắt bão là một nghịch lý đầy mê hoặc: giữa nơi cuồng phong gào thét lại tồn tại một khoảng trời yên ả. Hiện tượng này không chỉ đẹp mắt mà còn cực kỳ nguy hiểm.

Mắt bão là gì?

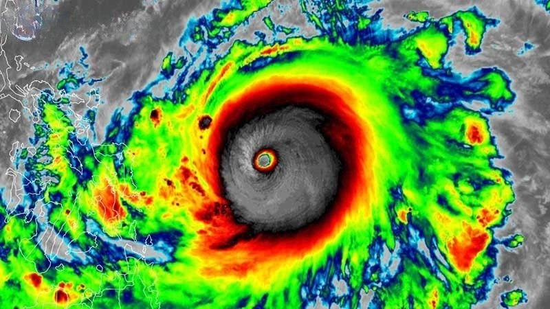
  • Mắt bão là vùng trung tâm của một cơn bão, nơi áp suất khí quyển thấp nhất và gió gần như dừng lại. Vùng này hình thành khi không khí ấm ẩm bốc lên mạnh mẽ quanh tâm bão, tạo thành vùng xoáy khép kín. 
  • Trong khi bên ngoài gió giật dữ dội, thì bên trong mắt bão lại có bầu trời quang và yên ả đến rợn người.
  • Mắt bão thường có đường kính từ 20 đến 60 km, tùy theo sức mạnh của cơn bão. Hiện tượng này là điểm then chốt trong nghiên cứu thời tiết, bởi nó giúp các nhà khoa học dự đoán quỹ đạo, tốc độ và mức độ tàn phá của bão.
    Mắt bão là vùng trung tâm yên tĩnh nhất của cơn bão
    Mắt bão là vùng trung tâm yên tĩnh nhất của cơn bão

>>> Tìm hiểu thêm: Siêu bão là gì? Sức tàn phá khủng khiếp của khí quyển

Hình ảnh về mắt bão và sức mạnh thiên nhiên

Những hình ảnh vệ tinh về mắt bão cho thấy một vòng xoáy hoàn hảo – ranh giới rõ rệt giữa vùng tĩnh lặng và cơn cuồng phong, biểu tượng đầy uy lực của thời tiết cực đoan.

Bão nhiệt đới hình thành rõ cấu trúc với phần mắt bão
Bão nhiệt đới hình thành rõ cấu trúc với phần mắt bão
Áp suất thấp bao quanh thúc đẩy sự phát triển của mắt bão
Áp suất thấp bao quanh thúc đẩy sự phát triển của mắt bão
Trung tâm bão chính là nơi mắt bão ổn định và rõ nét nhất
Trung tâm bão chính là nơi mắt bão ổn định và rõ nét nhất
Lặng gió bất thường xảy ra ngay bên trong mắt bão
Lặng gió bất thường xảy ra ngay bên trong mắt bão
Thành mắt bão bao quanh vùng yên tĩnh của mắt bão
Thành mắt bão bao quanh vùng yên tĩnh của mắt bão

>>> Tìm hiểu thêm: Bão mạnh là gì? Cảnh báo về sức tàn phá khủng khiếp

>>> Tìm hiểu thêm: Áp thấp nhiệt đới là gì? Dấu hiệu hình thành và phát triển

Dù bình yên ở trung tâm, mắt bão vẫn là phần nguy hiểm nhất của cơn bão. Sự đối lập ấy khiến nó trở thành minh chứng sống động cho sự khắc nghiệt của khí hậu.


Thanh Huyền

Thanh Huyền là chuyên gia về thời tiết, thường xuyên chia sẻ kiến thức, phân tích dự báo và giải đáp thắc mắc liên quan đến các hiện tượng khí tượng. Với cách truyền đạt dễ hiểu, cô giúp cộng đồng cập nhật thông tin thời tiết chính xác và hữu ích.


Để Lại Bình Luận Của Bạn

Địa chỉ email của bạn sẽ không được công bố. Các trường bắt buộc được đánh dấu *
×
Ảnh toàn màn hình